English
全部
搜索
图片
视频
地图
资讯
更多
购物
航班
旅游
笔记本
报告不当内容
请选择下列任一选项。
无关
低俗内容
成人
儿童性侵犯
时长
全部
短(小于 5 分钟)
中(5-20 分钟)
长(大于 20 分钟)
日期
全部
过去 24 小时
过去一周
过去一个月
去年
清晰度
全部
低于 360p
360p 或更高
480p 或更高
720p 或更高
1080p 或更高
源
全部
Dailymotion
Vimeo
Metacafe
Hulu
VEVO
Myspace
MTV
CBS
Fox
CNN
MSN
价格
全部
免费
付费
清除筛选条件
安全搜索:
中等
严格
中等(默认)
关闭
筛选器
5:00
Study.com
You must c C reate an account to continue watching
In this lesson, learn about dumping in economics and find dumping examples. See the positive and negative effects of dumping and understand how to prevent dumping.
已浏览 12万 次
2015年10月16日
Dumping definition
0:08
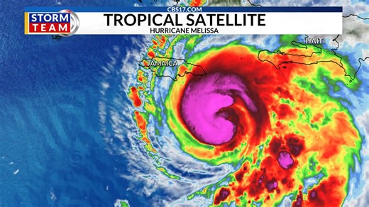
4.2K views · 12 shares | Hurricane Melissa continued to gain strength and definition. It's now a powerful category 4 hurricane with sustained winds of 140 mph. Melissa is expected to make landfall in Jamaica Tuesday morning, dumping as much as 40"+ across eastern parts of the island. | Meteorologist Matthew Huddleston | Facebook
Facebook
Meteorologist Matthew
已浏览 2025 次
1 周前
7:47
Import Dumping
tutor2u.net
2021年3月21日
Code Compliance Illegal Dumping
dallascityhall.com
2021年9月14日
热门视频
Dumping explained: definition and effects | Topics | European Parliament
europa.eu
2018年6月27日
2:51
What Is Economic Dumping In International Trade? - Learn About Economics
YouTube
Learn About Economics
已浏览 10 次
4 个月之前
3:12
What Is Dumping In International Trade? - Learn About Economics
YouTube
Learn About Economics
已浏览 201 次
9 个月之前
Dumping effects
Exploring the Effects of Trauma Dumping in Relationships
TikTok
dontcalldom
已浏览 16.2万 次
9 个月之前
Understanding Trauma Dumping: A Closer Look
TikTok
amaarylis
已浏览 270万 次
10 个月之前
Understanding China's Steel Pipe Dumping Practices
TikTok
paolo.benza
已浏览 70.8万 次
2025年1月18日
Dumping explained: definition and effects | Topics | European Parlia
…
2018年6月27日
europa.eu
2:51
What Is Economic Dumping In International Trade? - Learn Abou
…
已浏览 10 次
4 个月之前
YouTube
Learn About Economics
3:12
What Is Dumping In International Trade? - Learn About Economics
已浏览 201 次
9 个月之前
YouTube
Learn About Economics
1:54
What Is Dumping In Trade? - Learn About Economics
已浏览 23 次
9 个月之前
YouTube
Learn About Economics
3:22
What Is Dumping? Impact Of Dumping On Economic Agents | E
…
已浏览 1424 次
2023年6月6日
YouTube
ECOHOLICS - Largest Platform for Economics
2:32
What Is Dumping In Trade And How Do Countries Respond? - World E
…
已浏览 16 次
3 个月之前
YouTube
World Economy Watchers
3:00
Dumping | Meaning Of Dumping | Objectives Of Dumping | Internatio
…
已浏览 5.9万 次
2022年1月25日
YouTube
Yasser Khan..
Understanding Anti-Dumping Duty: Definition, Process, and Examples
5 个月之前
investopedia.com
1:32
Dumping - explained
已浏览 2.9万 次
2012年3月14日
YouTube
B2Bwhiteboard
0:37
Dumping | What is Dumping and anti-dumping tariffs | UPSC - Eco
…
已浏览 8803 次
2022年7月3日
YouTube
Synoptic Solution
7:11
What is Dumping? | International Business | From A Business Profe
…
已浏览 3998 次
2024年12月18日
YouTube
Business School 101
4:37
Dumping - Its Types with Diagram
已浏览 1.1万 次
2022年8月7日
YouTube
Mini Sethi
2:54
What Is Dumping? - All About Capitalism
7 个月之前
YouTube
All About Capitalism
42:25
Dumping & Types of Dumping || International Business || Ugc Nta
…
已浏览 8322 次
2024年1月20日
YouTube
MOHIT SHARMA CLASSES
10:12
🛑 DUMPING: qué es, tipos, casos recientes, y soluciones
已浏览 2248 次
2024年5月9日
YouTube
Andier Aduanas
12:11
What is Dumping?
已浏览 7 次
4 个月之前
YouTube
LearnAboutEconomics
3:06
Why Is Dumping A Concern In Economics? - Macroecon Experts
已浏览 2 次
5 个月之前
YouTube
Macroecon Experts
12:46
Dumping || By Komal Mam || EKOM Academy
已浏览 693 次
2023年6月16日
YouTube
EKOM Academy
8:01
Dumping and anti dumping measure, anti-dumping policy, int
…
已浏览 6.7万 次
2023年5月23日
YouTube
DWIVEDI GUIDANCE
5:48
Meaning and Types of Dumping | NTA-UGC NET COMMERCE |
已浏览 4387 次
2022年4月23日
YouTube
Aggarwal Education Hub
3:15
How Dumping and Unfair Subsidies Impact Trade
已浏览 9.6万 次
2020年2月13日
YouTube
International Trade Administration
1:24
Here's How Much Plastic Trash Is Littering the Earth | National Geog
…
已浏览 44.9万 次
2017年7月20日
YouTube
National Geographic
What Are The Different Types Of Dump Trucks
已浏览 4.2万 次
2020年1月15日
topmarkfunding.com
58:14
Targeted and Other Types of Dumping #CH26SP #swayamprabha
3 个月之前
YouTube
CH 26: IIT KANPUR 03: Management & others
2:06
What is Landfill & how does it affect us?
已浏览 2万 次
2021年7月25日
YouTube
iCYCLE Malaysia
2:13
What is Dumping?
已浏览 4.5万 次
2018年9月13日
YouTube
Center for Strategic & International Studies
0:57
Dumping and Types of Dumping || #inflation #macroeconomics #mac
…
已浏览 8279 次
2023年4月2日
YouTube
Commerce Devi
10:07
Dump Trailer Loading, Dumping, Types & Reviews
已浏览 3846 次
2020年12月8日
YouTube
Simple Tek
8:51
What Happens To NYC’s 3.2 Million Tons Of Trash | Big Business | Bu
…
已浏览 1311.1万 次
2021年3月21日
YouTube
Business Insider
观看更多视频
更多类似内容
反馈